The previous post highlighted the amazing development of the 19th century. Much of it spilled into the 20th century: shipbuilding, railroads, canning, and ice harvesting. But the 20th century would bring even more change. The feature image – the map above – shows the growth of the city in 1907! Follow along with us as we bring you up to date!
SHIPBUILDING
Being on the water, shipbuilding was a part of our history. Just as the Old Post Road connected us north to south, being on the Susquehanna at the top of the Chesapeake Bay not only connected us by shipping and receiving goods from the north to ports south, but also gave us the ability to trade with countries across the ocean.
In the September 13, 1872 issue of The Havre Republican, “We have on several occasions, heretofore, referred to the numerous advantages of Havre de Grace as a ship-building point.” The paper directed attention to an old Marine Railway facility where “The present owner, our enterprising townsman Mr. Amos Spencer, is now making extensive additions and improvements, adequate to meet all demands.”
The facility was leased to shipbuilder Robert A. McGowan described as “a thorough mechanic [who] has built during the past year, several vessels which were acknowledged to be models of beauty and design and of strength of construction.” Just recently he had signed a contract with Messrs. Cochran & Company, Baltimore ice merchants “to build them a Steam Propeller, one hundred and thirty-five feet long and twenty-five and one half feet beam, for use in their extensive and growing business, in this and other localities.” The paper concluded:
This establishment gives steady employment to about 50 men. We are glad to note the success of this industiral enterprise, as evidence of the substantial growth of our beautiful town, and also, to show what might be done in other directions, if a little more public spirit was exhibited by our people. [our highlights]
from Heavy industries of Yesteryear – Harford County’s Rural Heritage.
by Jack L. Shagena, Jr. and Henry C. Peden, Jr. (c)2015 (available at Bahoukas)

1904-Susquehanna Boat Works. The 1904 Sanborn insurance map of Havre de Grace on page 5 identifies the Susquehanna Boat Works on Hall Brothers Pier off of St. John Street and south of truncated Warren Street, a short distance below the crossing of the Philadelphia, Wilmington and Baltimore Railroad tracks over the Susquehanna River.
from Heavy industries of Yesteryear – Harford County’s Rural Heritage.
by Jack L. Shagena, Jr. and Henry C. Peden, Jr. (c)2015 (available at Bahoukas)

1907-The Susquehanna Marine Works Company were builders of power boats. This company was the hull manufacturer of the motorboat Fairbanks III that defeated the Bessemer in a race on the Havre de Grace waterfront in early October 1907.
On a course between the Baltimore and Ohio Railroad Bridge and the crossing of the Philadelphia, WIlmington and Baltimore Railroad, the hometown motorboat “seeming to almost jump out of the water in her onward flight, [and] came down the last leg of the course with a splendid burst of speed.”
It was a proud moment of the Havre de Grace folks as they celebrated “Amid a perfect bedlam of tooting whistles, cheers and cries of delight from the Fairbanks rooters, that [the] little craft shot like a streak on the water past the [observation] grounds and over the finish-line in the same point where the start was made.” It was a particularly sweet revenge for the local residents and the workers at the Susquehanna Boat Works, as five weeks previous the Bessemer had beaten Fairbanks III at a race at Sparrows Point.
from Heavy industries of Yesteryear – Harford County’s Rural Heritage.
by Jack L. Shagena, Jr. and Henry C. Peden, Jr. (c)2015 (available at Bahoukas)

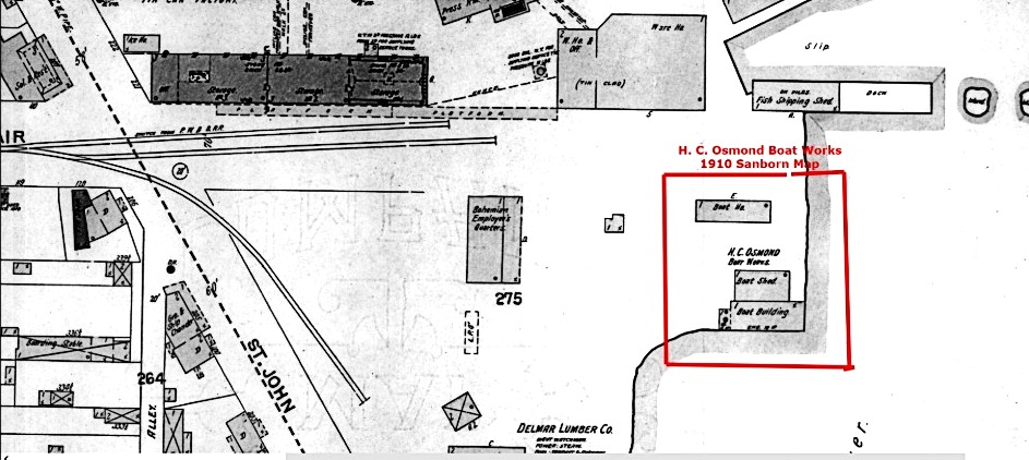
1910-H. C. Osmond Boat Works. The Susquehanna Marine Works is not found on the 1910 edition of the Sanborn map, but the boat works of H. C. Osmond appears located off St. John Street just south of the intersection of St. Clair Street (now Pennington Avenue). It was adjacent to the Delmar Lumber Company that most likely was their supplier of wood for boat construction.
1915-Wilson Yacht Building Company. On December 24, 1915 The Aegis and Intelligencer reported, “It looks like as though the efforts to have some industry locate here [Havre de Grace] are to be rewarded with success.
. . .
It is expected that this business will be established here soon.”
1916-Deibert Brothers and Conner Board Yard in Havre de Grace. The history of the Deibert Boat Yard goes back to 1877 when Henry Deibert brought his family and seven workers to Elk Landing just south of Elkton to build cancal boats . . . Clarence Deibert also established a vacility in Havre de Grace in association with John Connor of Dublin and by early 1917 two schooners were underway. By February 7, 1916,Deibert had “Nearly a hundred men enrolled” building the shipyard and anticipating an April completion that was delayed because of weather.
Image of construction of a barge is below.
from Heavy industries of Yesteryear – Harford County’s Rural Heritage.
by Jack L. Shagena, Jr. and Henry C. Peden, Jr. (c)2015 (available at Bahoukas)

1930-Havre de Grace Shipyard, Inc. Page 19 of the Sanborn map of Havre de Grace identified this shipbuilding facility along Concord Street opposite Revolution Street. It noted the boat shop was of concrete block construction with plastered walls, and showed a separate concrete block office.
from Heavy industries of Yesteryear – Harford County’s Rural Heritage.
by Jack L. Shagena, Jr. and Henry C. Peden, Jr. (c)2015 (available at Bahoukas)
We highly recommend visiting the Havre de Grace Maritime Museum for more exciting exhibits about shipbuilding and our waterfront!
Below is a wonderful story of a unique boat builder. The story of Bob Wood!
CHANGES HAPPENING QUICKLY ONCE AGAIN
Canning, Can Manufacturing, and Ice Manufacturing
In the previous blog (#6), we discussed canning, the railroads, and ice harvesting. The highly successful canning industry started to decline in the 1950s. As canning declined, so, too, did can manufacturing. The railroad was no longer using the cut, which consequently was filled in during the mid-1950s. The Ice Factory was slowly declining as refrigerators replaced ice boxes during the first several decades of the 1900s. The quarry continued to thrive.
Once again, the city was changing: less manufacturing – more services.
Burns Bros. Carriages gave way to automobiles, especially with the demise of their huge factory by fire.
BRIDGES
The Double Decker Bridge, the Hatem Bridge, and the Tydings Memorial Bridge are all part of the 20th-century history!
WORLD WARS I and II
The First World War
Havre de Grace felt the impact of World War I in the same manner as every other community in America. Hundreds of young men from the city entered the armed services and some of them did not come home again. There were the same activities here as elsewhere among those who were not in uniform. The older men organized a company of home guards; the ladies worked for the Red Cross; everybody bought Victory Bonds; everybody was busy. Shortly after the beginning of the war The United States Army established near Aberdeen a great new ordnance proving ground to replace the small establishement at Sandy Hook, N.J., which was inadequate for the handling of the greatly accelerated activities brought on by the war. Practically all the personnel at Sandy Hook was transferred to Aberdeen and many hundreds of additional men were employed. It is impossible to estimate how many people this new development added to the population of Havre de Grace, but it wa considerable. The Chemical Warfare Arsenal at Edgewood was also expanded and employed many residents of the city.
. . .
1919-1941
From the close of the war until 1929 everybody was either getting rich or thought he was; in 1929, following the greatest financial crash in the history of the country which was the culmination of over production, over extension of credit, over selling and gambling in stocks, some of those who thought they had been getting rich went to work if they could find jobs; in 1930 if they hadn’t yet found jobs they went on relief; in 1933 those who were young either went to a Civilian Conservation Corps Camp or were boondoggling in The National Youth Administration; the older men were working for the Federal Works Administration.. . .
Abruptly the depression ended. Everybody went to work and everybody was very happy. The Japanese ended the happiness when they dropped several tons of bombs on Pearl Harbor on Sunday, December 7, 1941, but many more people than had ever worked before took jobs in defense plants and, unheard of before in this country, women were soon joining the army, the navy, the marine corps and the coast guard.The Second World War
January 1942 found Havre de Grace a hotbed of activity. Augmented forces at The Aberdeen Proving Ground and at Edgewood Arsenal soon filled the city’s housing to overflowing. Concord Fields [known now as “The Projects”], a housing project of 500 units which had been under construction since the beginning of defense activity at Aberdeen was soon filled to capacity. It was impossible to find a place to stay overnight. Everybody was working and everybody had money to spend. Merchants had trouble keeping stocks on hand. Hundreds of the city’s young men left for the services. The Navy began the construction of an immense training station to be known as The Bainbridge Naval Training Center on the grounds of The Tome School at Port Deposit and soon a huge civilian force and thousands of sailors and sailors’ wives and families began clamoring for places to live and things to buy. The Maryland State Guard was organized and a detachment was sent here to patrol the bridges. The ladies opened a canteen for service men, everybody was buying War Bonds, bundles were collected for Britain, the older men followed the course of the war in the newspapers and radio commentators enjoyed a Roman holiday.
When the war ended everybody was relieved and Havre de Grace began balancing her gains against her losses. The losses included some of the best of the city’s best young manhood, which was irreparable. The gains included several thousand in permanent population, a definite increase in the city’s economy, increased prosperity of her business houses and the best conditions generally that have ever obtained here. The railroads had enjoyed the most prosperous era of their existence and hundreds of great trucks had passed through the city each day during the war hauling vital defense materials.
from History of Havre de Grace, “The Town We Live In” by Elias W. Kidwiler, (c)1947
Enjoy this great interview with Catherine WIlliams Burks, working at APG (Aberdeen Proving Ground)
Enjoy this interview where Jeanne talks about going with her mom in the ‘Watchtower” and her parents going around the block to be sure all the windows were blacked out. You have to listen!
Havre de Grace Race Track
Opening in 1912 and closing in 1950, the Race Track, known as “The Graw,” was both an asset and a liability to the city. Many locals enjoyed renting rooms to employees who came with the horses and visitors. Children enjoyed sneaking peeks at the barns, the horses, and the track excitement. Actually, our Harford Memorial Hospital (no longer operating) came about because the race track could not open without a hospital nearby.
At the same time, it brought mobsters and gamblers of all ilk. You can find stories of the likes of Al Capone, Arnold Rothstein, and others.
AUTOMOBILES
The coming of the automobile towards the end of the nineteenth century had the effect of stepping up the improvement of roads all over the country to a point that perhaps would never have been attained without it.
. . .
The adoption of the automobile and truck by the army, the accelerated purchasing power after the war, the general adoption of time payments and the change from open to closed type automobiles had the effect of raising the annual motor car production from 800,000 units in 1915 to 3,000,000 units in 1922.
. . .
Automobile and truck owners began clamoring for better roads and even before the First World War the improvement had begun. Roads for the most part, however, were still narrow and meandering until the late 1920’s and 1930’s when road planners began taking a more realistic view of their function. An added impetus wa supplied when the mass production of low priced automobiles made them available to hundreds of thousands who otherwise would never have progressed to the convenience of travel by motor.
. . .
As a result of the last improvement many smaller cities, towns and villages were entirely bypassed, which precipitated loud and prolonged protests. However, most of such complaints have subsided, the communities affected realizing that the use of one of their streets as an expressway by the tremendous volume of modern traffic would present a hazard not compensable by the small amount of additional business which might accrue to the business establishments of any of them.
Havre de Grace, through one of whose principal residential streets the heavily travelled north-south highway passed was certainly benefitted by the fact that the new road, when built, avoided the heart of the city. The tremendous volume of heavy truck traffic and army convoys which reached an all time peak during World War II and which within a few years hence will certainly exceed anything ever known before would have made life on Union Avenue not only extremely unpleasant but highly hazardous.
. . .
Havre de Grace has profited by the coming of the automobile because persons employed at distances of five to thirty miles may make the daily trips to their work with a minimum of inconvenience and have not been forced to leave the city as they would undoubtedly have been if it had been necessary for them to depend on the irregular and sometimes erratic service offered by the railroads. Many more people are engaged in supplying necessities to motorists than were ever necessary to take care of the horses and the vehicles they drew, and service stations and accessory stores are sources of greater revenue and certainly on the whole more attractive than the smithy or the feed store.
from History of Havre de Grace, “The Town We Live In” by Elias W. Kidwiler, (c)1947
INDUSTRIAL PARK
The Havre de Grace Industrial Park off Old Bay Lane (past Stancill Field) is a busy and growing complex, adding jobs and income to our area. We found in the Havre de Grace – A Bicentennial Sketch, of 1976 that J. L. Clark Co. might have been the only company in the Industrial Park.

The above photo shows the area where the present (below) Havre de Grace Industrial Park would be located. Quite a change from the 1960’s to the late 1990’s!

This is truly just the “tip of the iceberg” view of the Growth of our City. Schools, downtown shops, the library, hotels, marinas, churches,fire stations, the police, and the city government are just a part of the rest of the history. Keep checking back for more to come after we complete our ‘America250’ series.
George, our casual historian, encourages you to visit the main blog page and scroll through the posts for more stories. You are also encouraged to stop in to Bahoukas Antique Mall and browse more than a dozen cases and a huge wall of Havre de Grace History memorabilia! Be sure to say ‘hi’ to George!
Next up is a brief look at the 21st century!
